New Search Family, Subfamily and Tribe List

SubFamily Lamiinae

Tribe Apomecynini
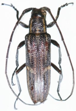
Rosalba peruviensis Audureau 2016

Specimen Type: holotype
Sex: f
Institution: MNHN Museum of Natural History Paris, France
Photographer: Alain Audureau
Collection Location: Oxapampa, Pozuzu, Pasco, Peru
54617

130425