New Search Family, Subfamily and Tribe List

SubFamily Lamiinae

Tribe Apomecynini
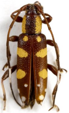
Plocia diverseguttata boholensis (Breuning, 1982)

Mimoplocia diverseguttata boholensis Breuning
Specimen Type: holotype
Institution: EUMJ Entomology laboratory, Ehime University Museum, Matsuyama, Japan
Photographer: Andreas Weigel
Collection Location: Pilar, Bohol, Philippines
57254


Mimoplocia diverseguttata boholensis Breuning
Photographer: Patrick Bonneau, Cerambycoidea Forum
Collection Location: Philippines
57255

130425