 Breuning IRSNB Manipur, India Trus2.jpg)
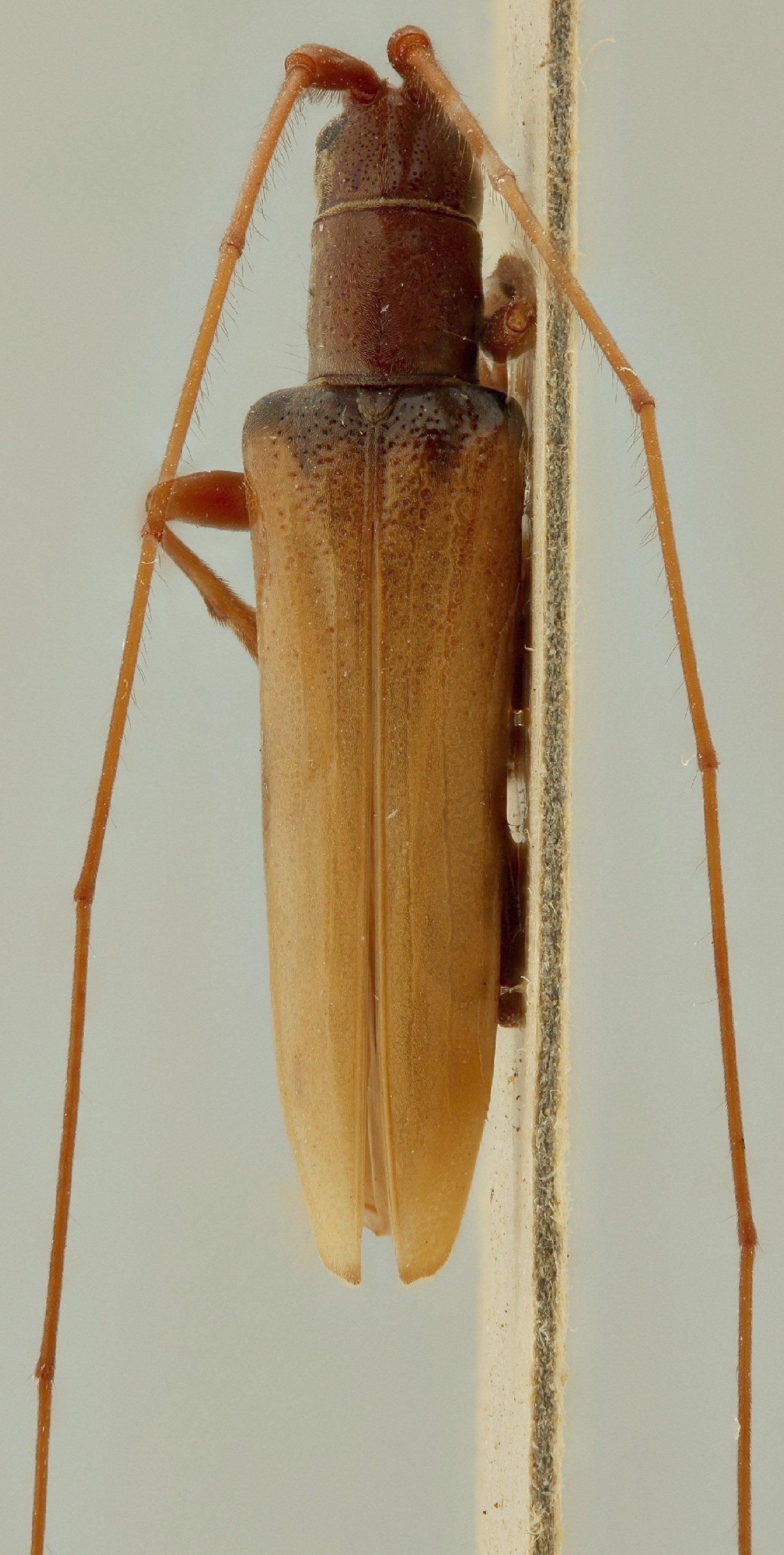
Specimen Type: paratype ©IRSNB Institution: IRSNB Royal Belgian Institute of Natural Sciences, Brussels, Belgium Photographer: Florence Trus Collection Location: Manipur, India 77548
|
 Breuning IRSNB Manipur, India Trus2.jpg)
Specimen Type: paratype ©IRSNB Institution: IRSNB Royal Belgian Institute of Natural Sciences, Brussels, Belgium Photographer: Florence Trus Collection Location: Manipur, India 77549
|
 Breuning IRSNB Manipur, India Trus2.jpg)
Specimen Type: paratype ©IRSNB Institution: IRSNB Royal Belgian Institute of Natural Sciences, Brussels, Belgium Photographer: Florence Trus Collection Location: Manipur, India 77550
|
 Breuning IRSNB Manipur, India Trus2.jpg)
Specimen Type: paratype ©IRSNB Institution: IRSNB Royal Belgian Institute of Natural Sciences, Brussels, Belgium Photographer: Florence Trus Collection Location: Manipur, India 77551
|
|