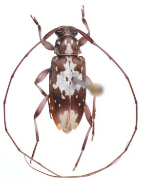
_Monne_Monne_Bot_Car_MNRJ_Parque_Nacional_de_Itatiaia_RJ_Braz.jpg)
Specimen Type: holotype Sex: m Institution: MNRJ Museu Nacional Universidade do Rio Janeiro, Brazil Photographer: Marcela Monne Collection Location: Parque Nacional de Itatiaia, Rio de Janeiro, Brazil 53433
|
_Monne_Monne_Bot_Car_MNRJ_Parque_Nacional_de_Itatiaia_RJ_Braz.jpg)
Specimen Type: holotype Sex: m Institution: MNRJ Museu Nacional Universidade do Rio Janeiro, Brazil Photographer: Marcela Monne Collection Location: Parque Nacional de Itatiaia, Rio de Janeiro, Brazil 53434
|
_Monne_Monne_Bot_Car_MNRJ_Parque_Nacional_de_Itatiaia_RJ_Braz.jpg)
Specimen Type: holotype Sex: m Institution: MNRJ Museu Nacional Universidade do Rio Janeiro, Brazil Photographer: Marcela Monne Collection Location: Parque Nacional de Itatiaia, Rio de Janeiro, Brazil 53435
|
_Monne_Monne_Bot_Car_MNRJ_Parque_Nacional_de_Itatiaia_RJ_Braz.jpg)
Specimen Type: paratype Sex: f Institution: MNRJ Museu Nacional Universidade do Rio Janeiro, Brazil Photographer: Marcela Monne Collection Location: Parque Nacional de Itatiaia, Rio de Janeiro, Brazil 53436
|
|