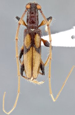
_Wappes_SS_MNKM_20kmN_Camiri_Rd_to_Eyti_SC_Bol_SS.jpg)
Specimen Type: holotype Sex: m Institution: MNKM Museo de Hist Nat Noel Kempff Mercado Santa Cruz de la Sierra, Bolivia Photographer: Antonio Santos-Silva Collection Location: 20 km N of Camiri Rd to Eyti, Santa Cruz, Bolivia 53395
|
_Wappes_SS_MNKM_20kmN_Camiri_Rd_to_Eyti_SC_Bol_SS.jpg)
Specimen Type: holotype Sex: m Institution: MNKM Museo de Hist Nat Noel Kempff Mercado Santa Cruz de la Sierra, Bolivia Photographer: Antonio Santos-Silva Collection Location: 20 km N of Camiri Rd to Eyti, Santa Cruz, Bolivia 53396
|
_Wappes_SS_MNKM_20kmN_Camiri_Rd_to_Eyti_SC_Bol_SS.jpg)
Specimen Type: holotype Sex: m Institution: MNKM Museo de Hist Nat Noel Kempff Mercado Santa Cruz de la Sierra, Bolivia Photographer: Antonio Santos-Silva Collection Location: 20 km N of Camiri Rd to Eyti, Santa Cruz, Bolivia 53397
|
_Wappes_SS_MNKM_20kmN_Camiri_Rd_to_Eyti_SC_Bol_SS.jpg)
Specimen Type: holotype Sex: m Institution: MNKM Museo de Hist Nat Noel Kempff Mercado Santa Cruz de la Sierra, Bolivia Photographer: Antonio Santos-Silva Collection Location: 20 km N of Camiri Rd to Eyti, Santa Cruz, Bolivia 53398
|
_Wappes_SS_ACMT_20kmN_Camiri_Rd_to_Eyti_SC_Bol_SS.jpg)
Specimen Type: paratype Sex: f Institution: ACMT American Coleoptera Collection, Texas (now at FSCA) Photographer: Antonio Santos-Silva Collection Location: 20 km N of Camiri Rd to Eyti, Santa Cruz, Bolivia 53399
|
|