_SS_Le_Tirant_MZSP_Cerro_Hornos_Jinotega_Nicaragus_SS.jpg)
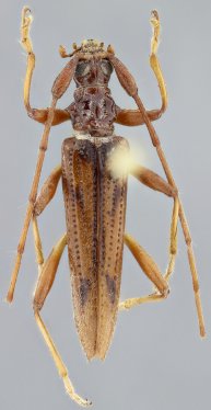
Specimen Type: holotype Sex: m Institution: MZSP Museu de Zoologia da Universidade de São Paulo, Brazil Photographer: Antonio Santos-Silva Collection Location: Cerro Hornos, Jinotega, Nicaragua 53381
|
_SS_Le_Tirant_MZSP_Cerro_Hornos_Jinotega_Nicaragus_SS.jpg)
Specimen Type: holotype Sex: m Institution: MZSP Museu de Zoologia da Universidade de São Paulo, Brazil Photographer: Antonio Santos-Silva Collection Location: Cerro Hornos, Jinotega, Nicaragua 53382
|
_SS_Le_Tirant_MZSP_Cerro_Hornos_Jinotega_Nicaragus_SS.jpg)
Specimen Type: holotype Sex: m Institution: MZSP Museu de Zoologia da Universidade de São Paulo, Brazil Photographer: Antonio Santos-Silva Collection Location: Cerro Hornos, Jinotega, Nicaragua 53383
|
|