_SS_Gal_INPA_Faz_Esteio_60kmN_Manaus_AM_Braz_SS.jpg)
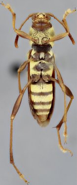
Specimen Type: holotype Sex: m Institution: INPA Instituto Nacional de Pesquisas da Amazonia, Manaus, Brazil Photographer: Antonio Santos-Silva Collection Location: Fazenda Esteio, 60 km N of Manaus, Amazonas, Brazil 53365
|
_SS_Gal_INPA_Faz_Esteio_60kmN_Manaus_AM_Braz_SS.jpg)
Specimen Type: holotype Sex: m Institution: INPA Instituto Nacional de Pesquisas da Amazonia, Manaus, Brazil Photographer: Antonio Santos-Silva Collection Location: Fazenda Esteio, 60 km N of Manaus, Amazonas, Brazil 53366
|
_SS_Gal_INPA_Faz_Esteio_60kmN_Manaus_AM_Braz_SS.jpg)
Specimen Type: holotype Sex: m Institution: INPA Instituto Nacional de Pesquisas da Amazonia, Manaus, Brazil Photographer: Antonio Santos-Silva Collection Location: Fazenda Esteio, 60 km N of Manaus, Amazonas, Brazil 53367
|
_SS_Gal_INPA_Faz_Esteio_60kmN_Manaus_AM_Braz_SS.jpg)
Specimen Type: holotype Sex: m Institution: INPA Instituto Nacional de Pesquisas da Amazonia, Manaus, Brazil Photographer: Antonio Santos-Silva Collection Location: Fazenda Esteio, 60 km N of Manaus, Amazonas, Brazil 53368
|
|