_SS_Gal_INPA_ZF2_km14_Torre_Manaus_AM_Braz_SS.jpg)
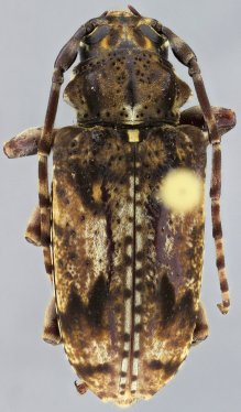
Psapharochrus bezarki Santos-Silva & Galileo Specimen Type: holotype Sex: f Institution: INPA Instituto Nacional de Pesquisas da Amazonia, Manaus, Brazil Photographer: Antonio Santos-Silva Collection Location: ZF2 km 14, Torre, Manaus, Amazona, Brazil 53369
|
_SS_Gal_INPA_ZF2_km14_Torre_Manaus_AM_Braz_SS.jpg)
Psapharochrus bezarki Santos-Silva & Galileo Specimen Type: holotype Sex: f Institution: INPA Instituto Nacional de Pesquisas da Amazonia, Manaus, Brazil Photographer: Antonio Santos-Silva Collection Location: ZF2 km 14, Torre, Manaus, Amazona, Brazil 53370
|
_SS_Gal_INPA_ZF2_km14_Torre_Manaus_AM_Braz_SS.jpg)
Psapharochrus bezarki Santos-Silva & Galileo Specimen Type: holotype Sex: f Institution: INPA Instituto Nacional de Pesquisas da Amazonia, Manaus, Brazil Photographer: Antonio Santos-Silva Collection Location: ZF2 km 14, Torre, Manaus, Amazona, Brazil 53371
|
_SS_Gal_INPA_ZF2_km14_Torre_Manaus_AM_Braz_SS.jpg)
Psapharochrus bezarki Santos-Silva & Galileo Specimen Type: holotype Sex: f Institution: INPA Instituto Nacional de Pesquisas da Amazonia, Manaus, Brazil Photographer: Antonio Santos-Silva Collection Location: ZF2 km 14, Torre, Manaus, Amazona, Brazil 53372
|
_SS_Gal_MZSP_ZF2_km14_Torre_Manaus_AM_Braz_SS.jpg)
Psapharochrus bezarki Santos-Silva & Galileo Specimen Type: paratype Sex: f Institution: MZSP Museu de Zoologia da Universidade de São Paulo, Brazil Photographer: Antonio Santos-Silva Collection Location: ZF2 km 14, Torre, Manaus, Amazona, Brazil 53373
|
|