New Search Family, Subfamily and Tribe List

SubFamily Lamiinae

Tribe Hemilophini
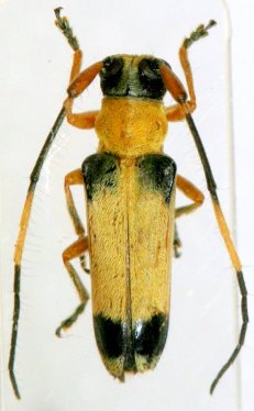
Adesmus delahayei Audureau & Demez 2016

Specimen Type: holotype
Sex: m
Institution: MNHN Museum of Natural History Paris, France
Photographer: Alain Audureau
Collection Location: Pozuzo, Oxapampa, Pasco, Peru
52582

130425