_Bez_Gal_SS_CAS_vic_Las_Pila_Manabi_wEC.jpg)
Specimen Type: holotype Sex: f Institution: CAS California Academy of Sciences, San Francisco, CA, USA Photographer: Antonio Santos-Silva Collection Location: vic Las Pila, Manabi, Ecuador 52578
|
_BEZ_Gal_SS_CAS_vic_Las_Pila_Manabi_wEC.jpg)
Specimen Type: holotype Sex: f Institution: CAS California Academy of Sciences, San Francisco, CA, USA Photographer: Antonio Santos-Silva Collection Location: vic Las Pila, Manabi, Ecuador 52579
|
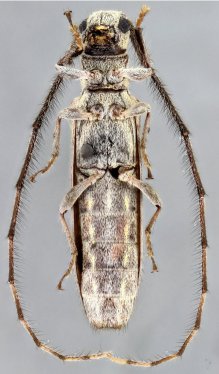
_BEZ_Gal_SS_CAS_vic_Las_Pila_Manabi_wEC.jpg)
Specimen Type: holotype Sex: f Institution: CAS California Academy of Sciences, San Francisco, CA, USA Photographer: Antonio Santos-Silva Collection Location: vic Las Pila, Manabi, Ecuador 52580
|
_Bez_Gal_SS_CAS_vic_Las_Pila_Manabi_wEC.jpg)
Specimen Type: holotype Sex: f Institution: CAS California Academy of Sciences, San Francisco, CA, USA Photographer: Antonio Santos-Silva Collection Location: vic Las Pila, Manabi, Ecuador 52581
|
_Bez_Gal_SS_La_Pila_Manabi_Prov_EC.jpg)
Specimen Type: paratype Institution: LGBC Larry G. Bezark Collection, Sacramento, California, USA Photographer: Larry G. Bezark Collection Location: La Pila, Manabi Province, Ecuador 54752
|
_Bez_Gal_SS_La_Pila_Manabi_Prov_EC.jpg)
Specimen Type: paratype Institution: LGBC Larry G. Bezark Collection, Sacramento, California, USA Photographer: Larry G. Bezark Collection Location: La Pila, Manabi Province, Ecuador 54753
|
|