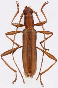
_Bjornstad_NHMO_Stormsriver_E_Cape_RSA.jpg)
Specimen Type: holotype Sex: m Institution: NHMO Natural History Museum of Oslo, Norway Photographer: Anders Bjornstad Collection Location: Stormsriver, E Cape, South Africa 59405
|
_Bjornstad_TMSA_.jpg)
Specimen Type: paratype Sex: f Institution: TMSA Ditsong: National Museum of Natural History, Pretoria, South Africa Photographer: Anders Bjornstad Collection Location: Stormsriver, E Cape, South Africa 59406
|