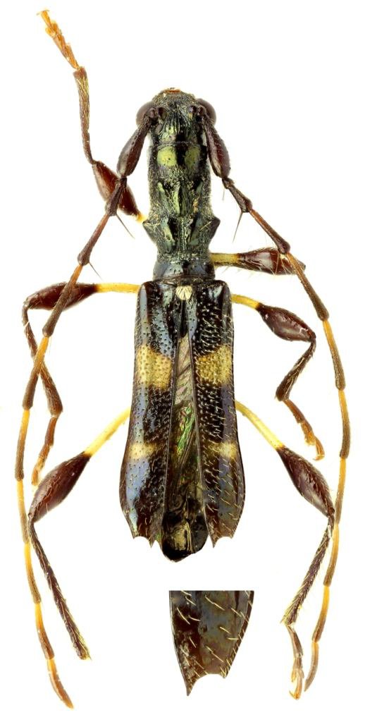
_Vives_Coll_Quirino_N_LuzonPhil_Alexander Anichtchenko_pic.jpg)
Specimen Type: holotype Sex: m Institution: Vives Collection Photographer: Alexander Anichtchenko Collection Location: Quirino, Northern Luzon, Philippines 72279
|
_Vives_coll_Quirino_Sierra Madre_N_Luzon_Philippines.jpg)
Specimen Type: holotype Sex: m Institution: Vives Collection Photographer: Eduard Vives Collection Location: Quirino, Sierra Madre, N Luzon, Philippines 75224
|