New Search Family, Subfamily and Tribe List

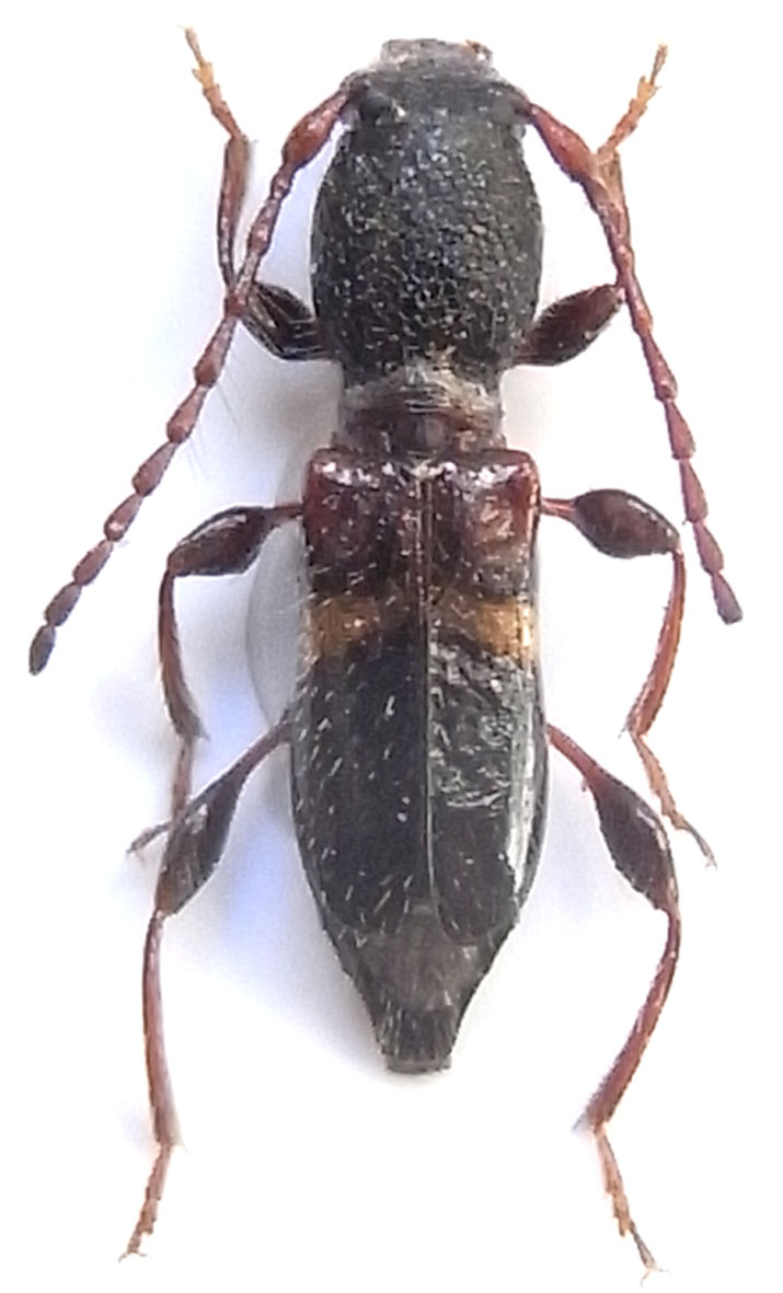
SubFamily Cerambycinae

Tribe Cleomenini
Paramimistena tricolor Niisato 2008

Photographer: Xavier Gouverneur, Cerambycoidea Forum
Collection Location: Hua Phan, Laos
79716

130425