_Bosq_MNRJ_SWL_=_Chydarteres_striatus_schaeferi.jpg)
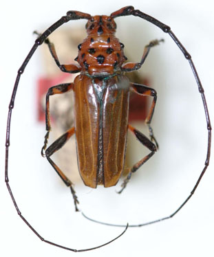
Trachyderes schaeferi Bosq Specimen Type: holotype Sex: m Institution: MNRJ Museu Nacional Universidade do Rio Janeiro, Brazil Photographer: Steve Lingafelter Collection Location: Capayán, Los Angeles, Catamarca, Argentina 14259
|
_(Bosq)_JW.jpg)
Sex: m Photographer: Jim Wappes Collection Location: Bolivia 42078
|