New Search Family, Subfamily and Tribe List

SubFamily Cerambycinae

Tribe Methiini
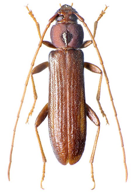
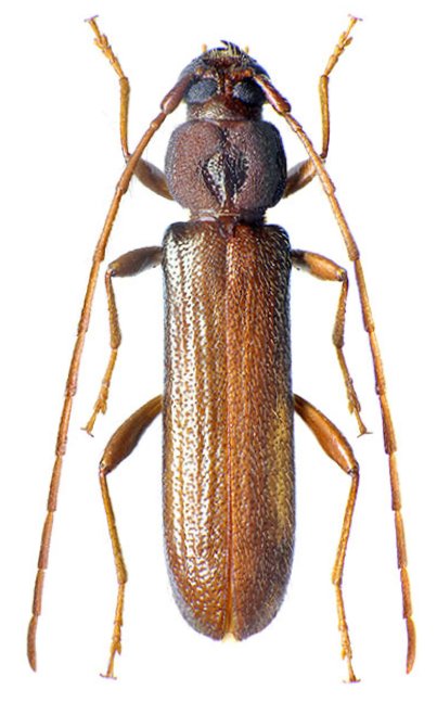
Madecassometallyra madecassa Lepesme & Breuning 1956

Sex: m
Photographer: Ivo Jenis
Collection Location: Moramanga, Madagascar
89354


Sex: f
Photographer: Ivo Jenis
Collection Location: Moramanga, Madagascar
89355

130425