New Search Family, Subfamily and Tribe List

SubFamily Cerambycinae

Tribe Rhopalophorini
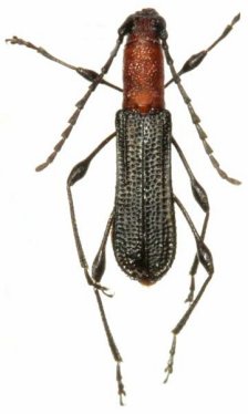
Dihammaphora paraperforata Clarke 2015

Specimen Type: holotype
Sex: m
Institution: MNKM Museo de Hist Nat Noel Kempff Mercado Santa Cruz de la Sierra, Bolivia
Collection Location: 5 km SSE Buena Vista, Hotel Flora and Fauna
51158


Specimen Type: paratype
Sex: f
51159


Photographer: Jim Wappes
Collection Location: Bolivia
42154

130425