New Search Family, Subfamily and Tribe List

SubFamily Cerambycinae

Tribe Rhopalophorini
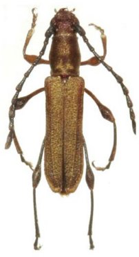
Dihammaphora fosterorum Clarke 2015

Specimen Type: holotype
Sex: m
Institution: MNKM Museo de Hist Nat Noel Kempff Mercado Santa Cruz de la Sierra, Bolivia
Collection Location: Achira, Santa Cruz, Bolivia
51157

130425