New Search Family, Subfamily and Tribe List

SubFamily Cerambycinae

Tribe Rhopalophorini
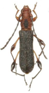
Dihammaphora espinotibia Clarke 2015

Specimen Type: holotype
Sex: m
Institution: MNKM Museo de Hist Nat Noel Kempff Mercado Santa Cruz de la Sierra, Bolivia
Collection Location: 30 km N Villmontes, Tarija, Bolivia
51155


Specimen Type: paratype
Sex: f
51156

130425