New Search Family, Subfamily and Tribe List

SubFamily

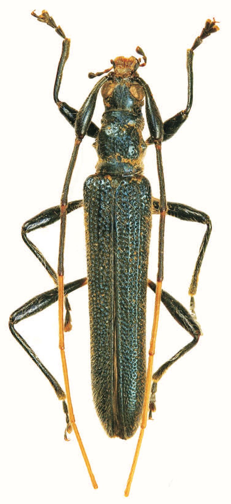
Tribe Disteniini
Noemia bawangi Vives 2023

Specimen Type: holotype
Sex: m
Institution: Vives Collection
Photographer: Eduard Vives
Collection Location: Madi Village, Barat Province, Mt Bawang, Kalimantan, Borneo
96940

130425