New Search Family, Subfamily and Tribe List

SubFamily Cerambycinae

Tribe Cleomenini
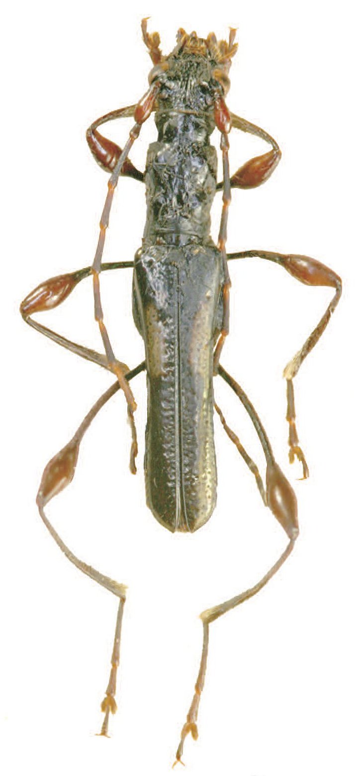
Artimpaza sumatrana Vives 2023

Specimen Type: holotype
Sex: m
Institution: Vives Collection
Photographer: Eduard Vives
Collection Location: 25 km N Payakumbun, Harau Valley, Sumatra
96920

130425