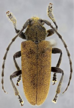
_Mart_Galil_SS_AMNH_69kmNE_Baeza_15kmSW_Reventador_Napo_EC_.jpg)
Specimen Type: holotype Sex: m Institution: AMNH American Museum of Natural History, New York, NY, USA Photographer: Antonio Santos-Silva Collection Location: 69 km NE Baeza & 15 km SW Reventador, Napo, Ecuador 50988
|
_Mart_Galil_SS_AMNH_69kmNE_Baeza_15kmSW_Reventador_Napo_EC_.jpg)
Specimen Type: holotype Sex: m Institution: AMNH American Museum of Natural History, New York, NY, USA Photographer: Antonio Santos-Silva Collection Location: 69 km NE Baeza & 15 km SW Reventador, Napo, Ecuador 50989
|
_Mart_Galil_SS_AMNH_69kmNE_Baeza_15kmSW_Reventador_Napo_EC_.jpg)
Specimen Type: holotype Sex: m Institution: AMNH American Museum of Natural History, New York, NY, USA Photographer: Antonio Santos-Silva Collection Location: 69 km NE Baeza & 15 km SW Reventador, Napo, Ecuador 50990
|
_Mart_Galil_SS_AMNH_69kmNE_Baeza_15kmSW_Reventador_Napo_EC_.jpg)
Specimen Type: holotype Sex: m Institution: AMNH American Museum of Natural History, New York, NY, USA Photographer: Antonio Santos-Silva Collection Location: 69 km NE Baeza & 15 km SW Reventador, Napo, Ecuador 50991
|
|