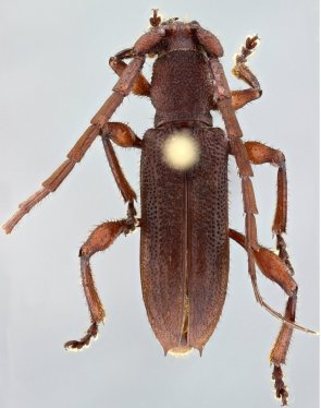
_Gal_Bez_SS_CAS_62kmSE_Ariquemes_RO_Braz.jpg)
Specimen Type: holotype Sex: m Institution: CAS California Academy of Sciences, San Francisco, CA, USA Photographer: Antonio Santos-Silva Collection Location: 62 km SE of Ariquemes, Rondonia, Brazil 50956
|
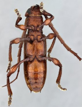
_Gal_Bez_SS_CAS_62kmSE_Ariquemes_RO_Braz.jpg)
Specimen Type: holotype Sex: m Institution: CAS California Academy of Sciences, San Francisco, CA, USA Photographer: Antonio Santos-Silva Collection Location: 62 km SE of Ariquemes, Rondonia, Brazil 50957
|
_Gal_Bez_SS_CAS_62kmSE_Ariquemes_RO_Braz.jpg)
Specimen Type: holotype Sex: m Institution: CAS California Academy of Sciences, San Francisco, CA, USA Photographer: Antonio Santos-Silva Collection Location: 62 km SE of Ariquemes, Rondonia, Brazil 50958
|
_Gal_Bez_SS_CAS_62kmSE_Ariquemes_RO_Braz.jpg)
Specimen Type: holotype Sex: m Institution: CAS California Academy of Sciences, San Francisco, CA, USA Photographer: Antonio Santos-Silva Collection Location: 62 km SE of Ariquemes, Rondonia, Brazil 50959
|
|