New Search Family, Subfamily and Tribe List

SubFamily Lamiinae

Tribe Hemilophini
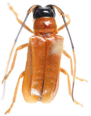
Chrysaperda mimica Monné & Monné 2015

Specimen Type: holotype
Sex: m
Institution: BMNH British Museum Natural History, London, UK
Collection Location: Macas, Morona-Santiago, Ecuador
50013

130425