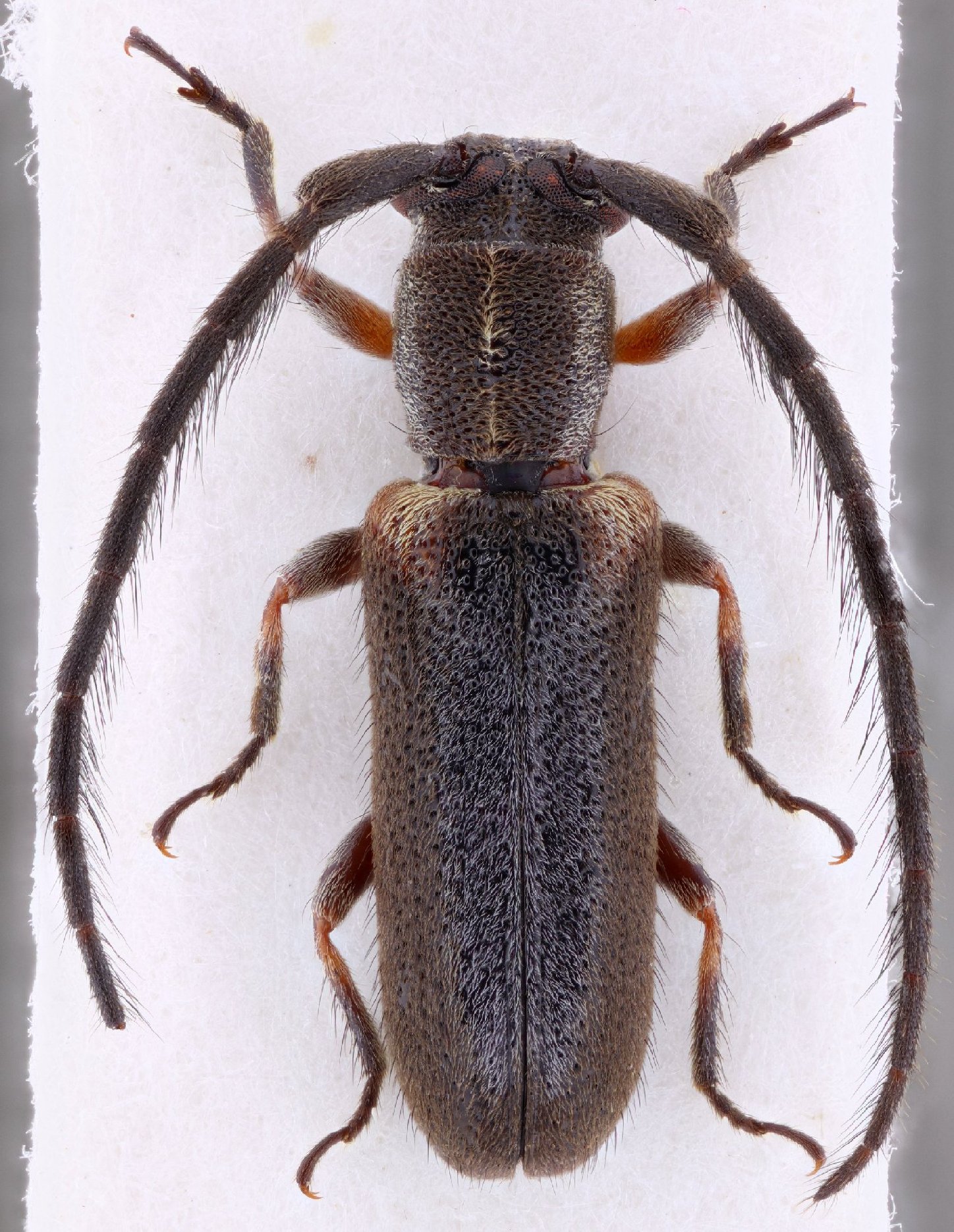
_Galileo_ACMT_21KM_SE_Roura_Kaw_Rd_Fr_G.jpg)
Specimen Type: holotype Sex: m Institution: ACMT American Coleoptera Collection, Texas (now at FSCA) Collection Location: 21 km SE of Roura, on Kaw Rd, French Guiana 50009
|
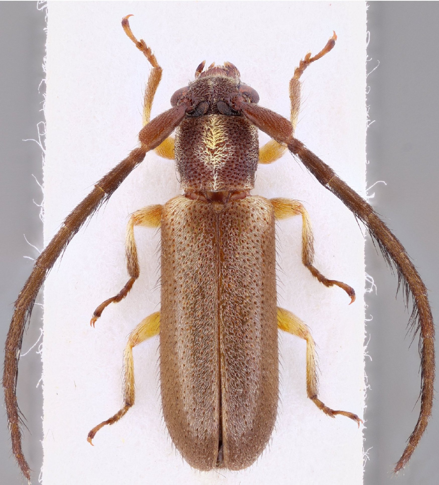
 Galileo Demonchaux coll pk 37 Kaw, French Guiana SS.jpg)
Sex: f Institution: Demonchaux Collection Photographer: Antonio Santos-Silva Collection Location: pk 37 Kaw, French Guiana 81046
|
 Galileo Demonchaux coll pk 37 Kaw, French Guiana SS.jpg)
Sex: f Institution: Demonchaux Collection Photographer: Antonio Santos-Silva Collection Location: pk 37 Kaw, French Guiana 81047
|
 Galileo Demonchaux coll pk 37 Kaw, French Guiana SS.jpg)
Sex: f Institution: Demonchaux Collection Photographer: Antonio Santos-Silva Collection Location: pk 37 Kaw, French Guiana 81048
|
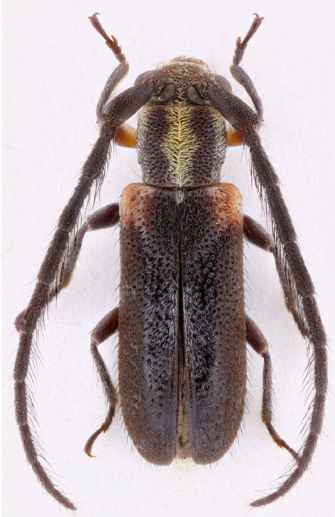
 Galileo Tava coll pk 45 Kaw, French Guiana SS.jpg)
Sex: m Institution: Tavakilian Collection Photographer: Antonio Santos-Silva Collection Location: pk 45 Kaw, French Guiana 81049
|
 Galileo Tava coll pk 45 Kaw, French Guiana SS.jpg)
Sex: m Institution: Tavakilian Collection Photographer: Antonio Santos-Silva Collection Location: pk 45 Kaw, French Guiana 81050
|
 Galileo Tava coll pk 45 Kaw, French Guiana SS.jpg)
Sex: m Institution: Tavakilian Collection Photographer: Antonio Santos-Silva Collection Location: pk 45 Kaw, French Guiana 81051
|
 Galileo Tava coll Piste de Belizon, French Guiana SS.jpg)
Sex: m Institution: Tavakilian Collection Photographer: Antonio Santos-Silva Collection Location: Piste de Belizon, French Guiana 81052
|
 Galileo Tava coll Piste de Belizon, French Guiana SS.jpg)
Sex: m Institution: Tavakilian Collection Photographer: Antonio Santos-Silva Collection Location: Piste de Belizon, French Guiana 81053
|
 Galileo Tava coll Piste de Belizon, French Guiana SS.jpg)
Sex: m Institution: Tavakilian Collection Photographer: Antonio Santos-Silva Collection Location: Piste de Belizon, French Guiana 81054
|