_Monne_Botero_FSCA_4.jpg)
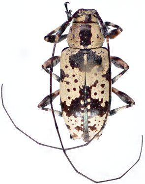
Specimen Type: holotype Sex: f Institution: FSCA Florida State Collection of Arthropods, Gainesville, FL, USA Photographer: Juan Pablo Botero Collection Location: 4.7 km N of Valle de Las Minas, Chiriqui, Panama 49988
|
_Monne_Botero_FSCA_4.jpg)
Specimen Type: holotype Sex: f Institution: FSCA Florida State Collection of Arthropods, Gainesville, FL, USA Photographer: Juan Pablo Botero Collection Location: 4.7 km N of Valle de Las Minas, Chiriqui, Panama 49989
|