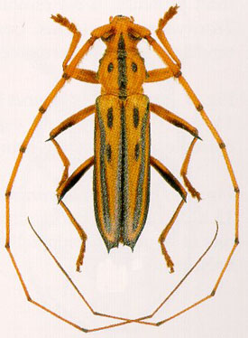
 Buquet Montagne des Chevaux, French Guiana Robin.jpg)
Sex: f Photographer: Frédéric Robin Collection Location: Montagne des Chevaux, French Guiana 78132
|

5467
|

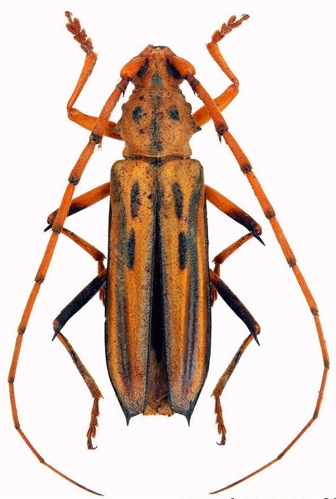
Institution: CAS California Academy of Sciences, San Francisco, CA, USA Photographer: Larry G. Bezark Determiner: Larry G. Bezark 5468
|

Photographer: Denis Faure Collection Location: French Guiana 21684
|

Photographer: Jean-Louis Giuglaris Collection Location: Kaw, French Guinea 67935
|
|