_Huang_Chen_Liu_SAUC_Longmen_Mengla_Co_Yunnan_China_Li_Chen_pic.jpg)
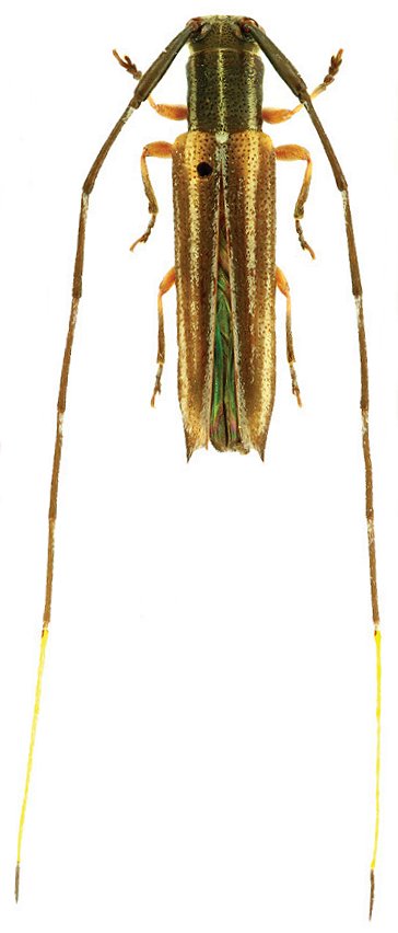
Specimen Type: holotype Sex: m Institution: SAUC Insect Collection of the Southwest Agricultural University, Chongqing, China Photographer: Li Chen Collection Location: Longmen, Mengla County, Yunnan Province, China 70705
|
_Huang_Chen_Liu_SAUC_Longmen_Mengla_Co_Yunnan_China_Li_Chen_pic.jpg)
Specimen Type: holotype Sex: m Institution: SAUC Insect Collection of the Southwest Agricultural University, Chongqing, China Photographer: Li Chen Collection Location: Longmen, Mengla County, Yunnan Province, China 70706
|

Institution: LGBC Larry G. Bezark Collection, Sacramento, California, USA Photographer: Larry G. Bezark Collection Location: Xinping, Shaanxi, China 49447
|
|