New Search Family, Subfamily and Tribe List

SubFamily Cerambycinae

Tribe Trachyderini Trachyderina
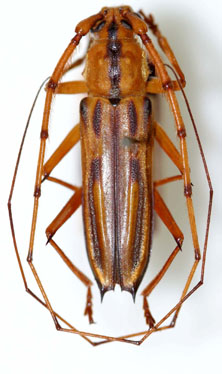
Ceragenia aurulenta Monné & Martins 1991

Specimen Type: holotype
Sex: m
Institution: MNRJ Museu Nacional Universidade do Rio Janeiro, Brazil
Photographer: Steve Lingafelter
Collection Location: Itaituba, Para, Brazil
5462

130425