
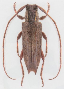
Phaeapate denticollis Pascoe Specimen Type: holotype Institution: BMNH British Museum Natural History, London, UK Photographer: Slipinski & Escalona Collection Location: Rockhampton, Queensland, Australia 53061
|
_Slipinski_Escalona.jpg)
Photographer: Slipinski & Escalona 55680
|