New Search Family, Subfamily and Tribe List

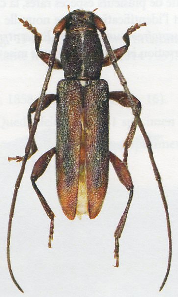
SubFamily Cerambycinae

Tribe Oemini
Paracalybistum teocchii Mourglia 1989

Photographer: Pierre Juhel
Collection Location: Lope National Park, Gabon
74751

130425