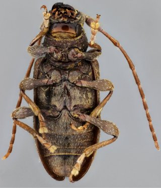
_M_G_SS_NMNH_2.7m_N_Tlanchinol_Hidalgo_Mexico.jpg)
Specimen Type: holotype Sex: f Institution: NMNH United States National Museum, Washington, DC, USA Photographer: Antonio Santos-Silva Collection Location: 2.7 m N of Tlanchinol, Hidalgo, Mexico 48868
|
_M_G_SS_NMNH_2.7m_N_Tlanchinol_Hidalgo_Mexico.jpg)
Specimen Type: holotype Sex: f Institution: NMNH United States National Museum, Washington, DC, USA Photographer: Antonio Santos-Silva Collection Location: 2.7 m N of Tlanchinol, Hidalgo, Mexico 48869
|
_M_G_SS_NMNH_2.7m_N_Tlanchinol_Hidalgo_Mexico.jpg)
Specimen Type: holotype Sex: f Institution: NMNH United States National Museum, Washington, DC, USA Photographer: Antonio Santos-Silva Collection Location: 2.7 m N of Tlanchinol, Hidalgo, Mexico 48870
|
|