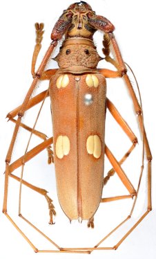
_Botero_IRSNB_Mexico_Botero.jpg)
Specimen Type: holotype Sex: m Institution: IRSNB Royal Belgian Institute of Natural Sciences, Brussels, Belgium Photographer: Juan Pablo Botero Collection Location: Mexico 49126
|
_Botero_IRSNB_Mexico_Botero.jpg)
Specimen Type: holotype Sex: m Institution: IRSNB Royal Belgian Institute of Natural Sciences, Brussels, Belgium Photographer: Juan Pablo Botero Collection Location: Mexico 49127
|
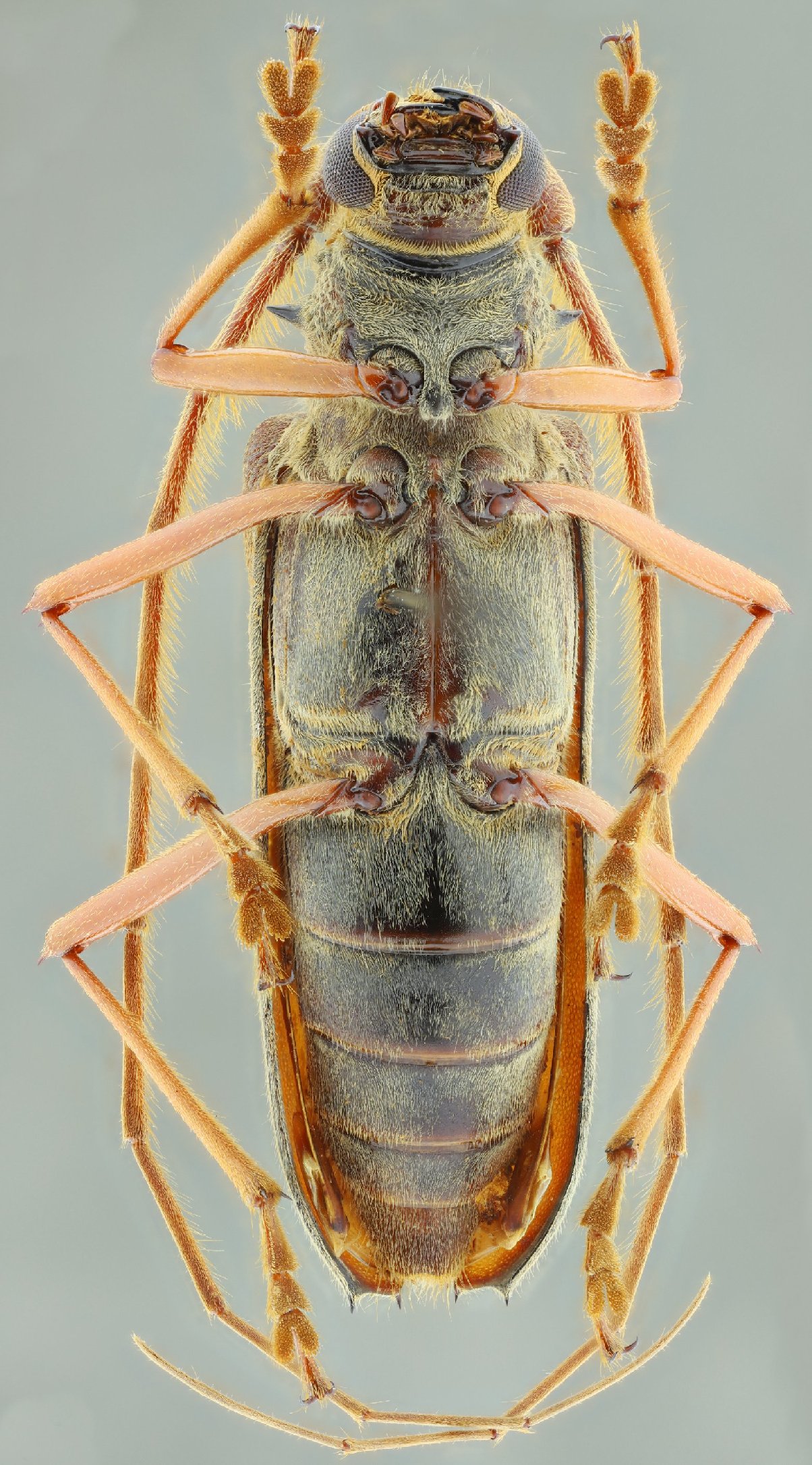
 Botero DJH Metates, Oaxaca, Mexico SS.jpg)
Sex: f Institution: Heffern Collection Photographer: Antonio Santos-Silva Collection Location: Metates, Oaxaca, Mexico 96804
|
 Botero DJH Metates, Oaxaca, Mexico SS.jpg)
Sex: f Institution: Heffern Collection Photographer: Antonio Santos-Silva Collection Location: Metates, Oaxaca, Mexico 96805
|
 Botero DJH Metates, Oaxaca, Mexico SS.jpg)
Sex: f Institution: Heffern Collection Photographer: Antonio Santos-Silva Collection Location: Metates, Oaxaca, Mexico 96806
|
 Botero DJH Metates, Oaxaca, Mexico SS.jpg)
Sex: f Institution: Heffern Collection Photographer: Antonio Santos-Silva Collection Location: Metates, Oaxaca, Mexico 96807
|
|