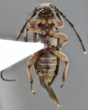
_M_G_SS_MZSP_Caatinga_arborea_Aracatu_Fazenda_Lagoa_doTamburi_BA_Braz_SS.jpg)
Specimen Type: holotype Sex: m Institution: MZSP Museu de Zoologia da Universidade de São Paulo, Brazil Photographer: Antonio Santos-Silva Collection Location: Caatinga arborea, Aracatu, Fazenda Lagoa do Tamburi, Bahia, Brazil 48180
|
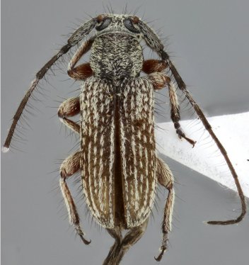
_M_G_SS_MZSP_Caatinga_arborea_Aracatu_Fazenda_Lagoa_doTamburi_BA_Braz_SS.jpg)
Specimen Type: holotype Sex: m Institution: MZSP Museu de Zoologia da Universidade de São Paulo, Brazil Photographer: Antonio Santos-Silva Collection Location: Caatinga arborea, Aracatu, Fazenda Lagoa do Tamburi, Bahia, Brazil 48181
|
_M_G_SS_MZSP_Caatinga_arborea_Aracatu_Fazenda_Lagoa_doTamburi_BA_Braz_SS.jpg)
Specimen Type: holotype Sex: m Institution: MZSP Museu de Zoologia da Universidade de São Paulo, Brazil Photographer: Antonio Santos-Silva Collection Location: Caatinga arborea, Aracatu, Fazenda Lagoa do Tamburi, Bahia, Brazil 48182
|
|