_LeTirant_SS_MZSP_Rio_Venado_Satipo_Junin_Peru_SS.jpg)
Specimen Type: holotype Sex: m Institution: MZSP Museu de Zoologia da Universidade de São Paulo, Brazil Photographer: Antonio Santos-Silva Collection Location: Rio Venado, Satipo, Junin, Peru 48213
|
_LeTirant_SS_MZSP_Rio_Venado_Satipo_Junin_Peru_SS.jpg)
Specimen Type: holotype Sex: m Institution: MZSP Museu de Zoologia da Universidade de São Paulo, Brazil Photographer: Antonio Santos-Silva Collection Location: Rio Venado, Satipo, Junin, Peru 48214
|
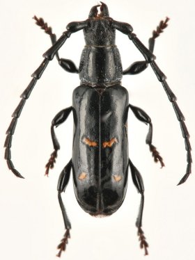
_LeTirant_SS_MZSP_Rio_Venado_Satipo_Junin_Peru_SS.jpg)
Specimen Type: paratype Sex: f Institution: MZSP Museu de Zoologia da Universidade de São Paulo, Brazil Photographer: Antonio Santos-Silva Collection Location: Rio Venado, Satipo, Junin, Peru 48215
|
_LeTirant_SS_MZSP_Rio_Venado_Satipo_Junin_Peru_SS.jpg)
Specimen Type: paratype Sex: f Institution: MZSP Museu de Zoologia da Universidade de São Paulo, Brazil Photographer: Antonio Santos-Silva Collection Location: Rio Venado, Satipo, Junin, Peru 48216
|
|