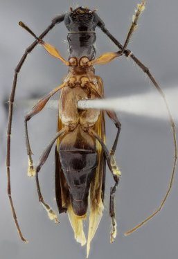
_M_G_SS_MZSP_Caatinga_arborea_Aracatu_Fazenda_Lagoa_doTamburi_BA_Braz_SS.jpg)
Specimen Type: holotype Sex: f Institution: MZSP Museu de Zoologia da Universidade de São Paulo, Brazil Photographer: Antonio Santos-Silva Collection Location: Caatinga arborea, Aracatu, Fazenda Lagoa do Tamburi, Bahia, Brazil 48201
|
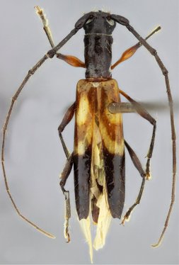
_M_G_SS_MZSP_Caatinga_arborea_Aracatu_Fazenda_Lagoa_doTamburi_BA_Braz_SS.jpg)
Specimen Type: holotype Sex: f Institution: MZSP Museu de Zoologia da Universidade de São Paulo, Brazil Photographer: Antonio Santos-Silva Collection Location: Caatinga arborea, Aracatu, Fazenda Lagoa do Tamburi, Bahia, Brazil 48202
|
_M_G_SS_MZSP_Caatinga_arborea_Aracatu_Fazenda_Lagoa_doTamburi_BA_Braz_SS.jpg)
Specimen Type: holotype Sex: f Institution: MZSP Museu de Zoologia da Universidade de São Paulo, Brazil Photographer: Antonio Santos-Silva Collection Location: Caatinga arborea, Aracatu, Fazenda Lagoa do Tamburi, Bahia, Brazil 48203
|
|