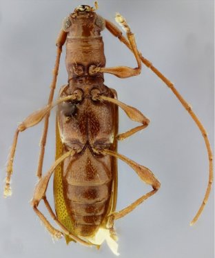
_M_G_SS_MZSP_Morro_doChapeu_povoado_deSaoRafael_SS.jpg)
Specimen Type: holotype Sex: f Institution: MZSP Museu de Zoologia da Universidade de São Paulo, Brazil Photographer: Antonio Santos-Silva Collection Location: Morro do Chapeu, povoado de Sao Rafael, Bahia, Brazil 48204
|
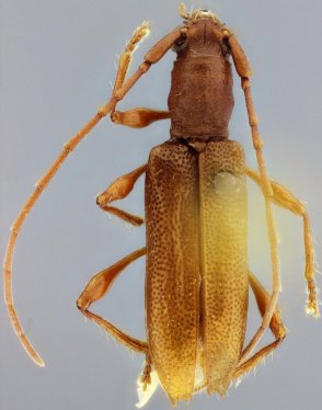
_M_G_SS_MZSP_Morro_doChapeu_povoado_deSaoRafael_SS.jpg)
Specimen Type: holotype Sex: f Institution: MZSP Museu de Zoologia da Universidade de São Paulo, Brazil Photographer: Antonio Santos-Silva Collection Location: Morro do Chapeu, povoado de Sao Rafael, Bahia, Brazil 48205
|
_M_G_SS_MZSP_Morro_doChapeu_povoado_deSaoRafael_SS.jpg)
Specimen Type: holotype Sex: f Institution: MZSP Museu de Zoologia da Universidade de São Paulo, Brazil Photographer: Antonio Santos-Silva Collection Location: Morro do Chapeu, povoado de Sao Rafael, Bahia, Brazil 48206
|
|