_G_M_SS_TAMU_Ft_Kobbe_Canal_Zone_Panama_SS.jpg)
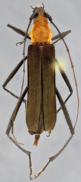
Specimen Type: holotype Sex: f Institution: TAMU Texas A & M University, College Station, Texas, USA Photographer: Antonio Santos-Silva Collection Location: Ft Kobbe, Canal Zone, Panama 48116
|
_G_M_SS_TAMU_Ft_Kobbe_Canal_Zone_Panama_SS.jpg)
Specimen Type: holotype Sex: f Institution: TAMU Texas A & M University, College Station, Texas, USA Photographer: Antonio Santos-Silva Collection Location: Ft Kobbe, Canal Zone, Panama 48117
|
_G_M_SS_TAMU_Ft_Kobbe_Canal_Zone_Panama_SS.jpg)
Specimen Type: holotype Sex: f Institution: TAMU Texas A & M University, College Station, Texas, USA Photographer: Antonio Santos-Silva Collection Location: Ft Kobbe, Canal Zone, Panama 48118
|
|