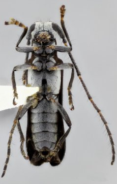
_M_SS_G_MZSP_Cerro_deCarnica_NP_MI_Mex_SS.jpg)
Specimen Type: holotype Sex: m Institution: MZSP Museu de Zoologia da Universidade de São Paulo, Brazil Photographer: Antonio Santos-Silva Collection Location: Cerro de Carnica Nacional Park, Michoacan, Mexico 48151
|
_M_SS_G_MZSP_Cerro_deCarnica_NP_MI_Mex_SS.jpg)
Specimen Type: holotype Sex: m Institution: MZSP Museu de Zoologia da Universidade de São Paulo, Brazil Photographer: Antonio Santos-Silva Collection Location: Cerro de Carnica Nacional Park, Michoacan, Mexico 48152
|
_M_SS_G_MZSP_Cerro_deCarnica_NP_MI_Mex_SS.jpg)
Specimen Type: holotype Sex: m Institution: MZSP Museu de Zoologia da Universidade de São Paulo, Brazil Photographer: Antonio Santos-Silva Collection Location: Cerro de Carnica Nacional Park, Michoacan, Mexico 48153
|
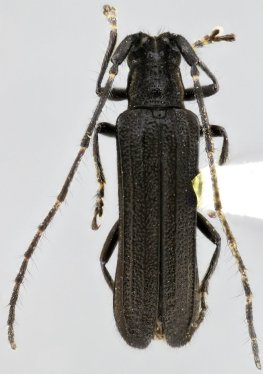
_Mart_SS_Gal_Heff_Coll_San_Antonio_Albarranes_Mex_Mex_SS.jpg)
Sex: m Institution: Heffern Collection Photographer: Antonio Santos-Silva Collection Location: San Antonio Albarranes, Mexico, Mexico 72491
|
|