_M_SS_G_NMNH_VolcanNevado_deColima_NP_JA_Mex_SS.jpg)
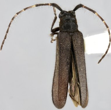
Specimen Type: holotype Sex: m Institution: NMNH United States National Museum, Washington, DC, USA Photographer: Antonio Santos-Silva Collection Location: Volcan Nevado de Colima Nacional Park, Jalisco, Mexico 48154
|
_M_SS_G_NMNH_VolcanNevado_deColima_NP_JA_Mex_SS.jpg)
Specimen Type: holotype Sex: m Institution: NMNH United States National Museum, Washington, DC, USA Photographer: Antonio Santos-Silva Collection Location: Volcan Nevado de Colima Nacional Park, Jalisco, Mexico 48155
|
_M_SS_G_NMNH_VolcanNevado_deColima_NP_JA_Mex_SS.jpg)
Specimen Type: holotype Sex: m Institution: NMNH United States National Museum, Washington, DC, USA Photographer: Antonio Santos-Silva Collection Location: Volcan Nevado de Colima Nacional Park, Jalisco, Mexico 48156
|
|