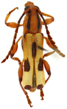
_Duran_SS_MIUC_Puentes_deLa_Fortuna_AL_Costa_Rica.jpg)
Specimen Type: holotype Sex: f Institution: MIUC Museu do Insectos, Universidad de Costa Rica, San Jose Photographer: Antonio Santos-Silva Collection Location: Puentes de La Fortuna, Alajuela, Costa Rica 46332
|
_Duran_SS_EDPC_Puentes_deLa_Fortuna_AL_Costa_Rica.jpg)
Specimen Type: paratype Sex: f Institution: Esteban Duran Collection Photographer: Antonio Santos-Silva Collection Location: Puentes de La Fortuna, Alajuela, Costa Rica 46333
|
_Duran_SS_ACMT_Cerro_Campana_Panama.jpg)
Specimen Type: paratype Sex: m Institution: ACMT American Coleoptera Collection, Texas (now at FSCA) Photographer: Antonio Santos-Silva Collection Location: Cerro Campana, Panama 46334
|
_Duran_SS_ACMT_Cerro_Campana_Panama.jpg)
Specimen Type: paratype Sex: m Institution: ACMT American Coleoptera Collection, Texas (now at FSCA) Photographer: Antonio Santos-Silva Collection Location: Cerro Campana, Panama 46335
|
_Duran_SS_ACMT_Cerro_Campana_Panama.jpg)
Specimen Type: paratype Sex: m Institution: ACMT American Coleoptera Collection, Texas (now at FSCA) Photographer: Antonio Santos-Silva Collection Location: Cerro Campana, Panama 46336
|
|