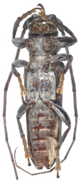
_MZFS_Nascimento_Bravo_Morro_do_Chapeu_Bahia_Braz.jpg)
Specimen Type: holotype Sex: m Institution: MZFS Universidade Estadual de Feira de Santana, Bahia State, Brazil Photographer: Francisco Eriberto Collection Location: Morro do Chapeu, Bahia, Brazil 46353
|
_MZFS_Nascimento_Bravo_Morro_do_Chapeu_Bahia_Braz.jpg)
Specimen Type: holotype Sex: m Institution: MZFS Universidade Estadual de Feira de Santana, Bahia State, Brazil Collection Location: Morro do Chapeu, Bahia, Brazil 46354
|
_MZFS_Nascimento_Bravo_Morro_do_Chapeu_Bahia_Braz.jpg)
Specimen Type: holotype Sex: m Institution: MZFS Universidade Estadual de Feira de Santana, Bahia State, Brazil Collection Location: Morro do Chapeu, Bahia, Brazil 46355
|
|