New Search Family, Subfamily and Tribe List

SubFamily Cerambycinae

Tribe Eburiini
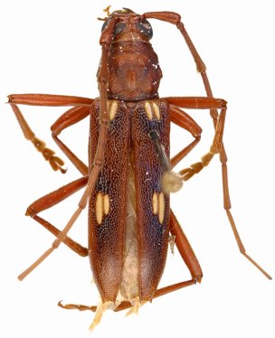
Eburia pecki Touroult 2014

Specimen Type: holotype
Sex: m
Institution: Stewart Peck Collection
Photographer: Julien Touroult
Collection Location: Turner Hall Woods, Barbados, West Indies
46317

130425