_Schmid_coll_Alto_Nazare_Principe.jpg)
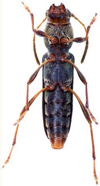
Specimen Type: holotype Sex: m Institution: Schmid Collection Photographer: Herbert Schmid Collection Location: Alto Nazare, Principe Island 58876
|
_Schmid_coll_Alto_Nazare_Principe.jpg)
Specimen Type: holotype Sex: m Institution: Schmid Collection Photographer: Herbert Schmid Collection Location: Alto Nazare, Principe Island 58877
|