New Search Family, Subfamily and Tribe List

SubFamily Lamiinae

Tribe Apomecynini
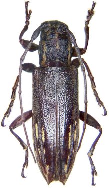
Mimosybra surigaonis (Heller, 1923)

Atelais surigaonis Heller
Specimen Type: holotype
Institution: MTD Museum fur Tierkunde, Dresden, Germany
Photographer: Andreas Weigel
Collection Location: Mindanao, Philippines
45871

130425