New Search Family, Subfamily and Tribe List

SubFamily Cerambycinae

Tribe Cerambycini
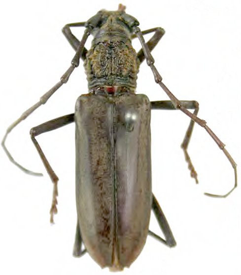
Pachydissus birmanicus Gardner 1926

Specimen Type: holotype
Sex: f
Institution: Forest Res Inst Dehra Dun
Photographer: Sudhir Singh
Collection Location: S Toungoo, Myanmar
90960

130425