New Search Family, Subfamily and Tribe List

SubFamily Lamiinae

Tribe Apomecynini
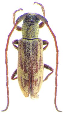
Rosalba tanimbuca Galileo & Martins 2013

Specimen Type: holotype
Sex: m
Institution: MNKM Museo de Hist Nat Noel Kempff Mercado Santa Cruz de la Sierra, Bolivia
Collection Location: Potrerillos del Guenda, Santa Cruz, Bolivia
44807

130425