New Search Family, Subfamily and Tribe List

SubFamily Lamiinae

Tribe Apomecynini
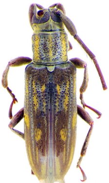
Rosalba maculosa Galileo & Martins 2013

Specimen Type: holotype
Sex: f
Institution: AMNH American Museum of Natural History, New York, NY, USA
Collection Location: Rio Opon, Santander, Colombia
44804

130425