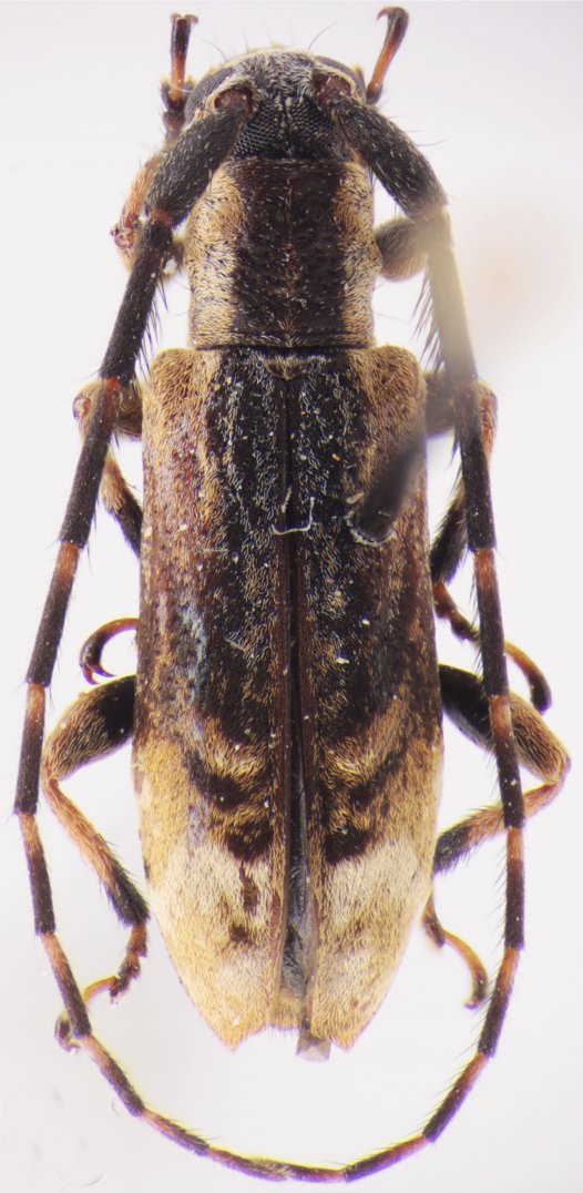
_G_M_CAS_Loreto_Orellana_Ec.jpg)
Specimen Type: holotype Sex: f Institution: CAS California Academy of Sciences, San Francisco, CA, USA Photographer: Larry G. Bezark Collection Location: Loreto, Orellana, Ecuador 45782
|
_G_M_CAS_Loreto_Orellana_Ecuador.jpg)
Specimen Type: holotype Sex: f Institution: CAS California Academy of Sciences, San Francisco, CA, USA Photographer: Antonio Santos-Silva Collection Location: Loreto, Orellana, Ecuador 44801
|

Specimen Type: topotype Institution: LGBC Larry G. Bezark Collection, Sacramento, California, USA Photographer: Larry G. Bezark Collection Location: 11 km E Loreto, Orellano, Ecuador 67901
|
|