New Search Family, Subfamily and Tribe List

SubFamily Cerambycinae

Tribe Oemini
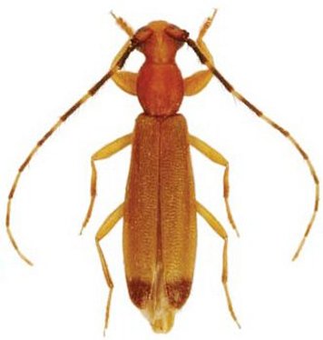
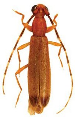
Atenizus apicalis Dalens & Touroult 2014

Specimen Type: paratype
Sex: m
Photographer: Julien Touroult
Collection Location: French Guiana
44813


Specimen Type: paratype
Sex: f
Photographer: Julien Touroult
Collection Location: French Guiana
44814

130425