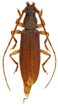
_Dalens_Touroult_MNHN_Montagne_des_Chevaux_Roura_FG.jpg)
Specimen Type: holotype Sex: m Institution: MNHN Museum of Natural History Paris, France Photographer: Julien Touroult Collection Location: Montagne des Chevaux, Roura, French Guiana 44846
|
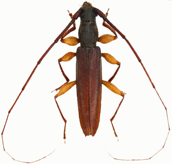
_Dalens_Touroult_PHDC_Montagne_des_Chevaux_Roura_FG.jpg)
Specimen Type: allotype Sex: f Institution: Dalens Collection Photographer: Julien Touroult Collection Location: Montagne des Chevaux, Roura, French Guiana 44847
|